Feeds:
Posts
Comments

Archive for February, 2021

urbanst

Urban Street (shown in red). George Urban St owned properties (shown in orange). Jacob Urban property (shown in blue).

Today we are going to talk about two roads.  The first is Urban Street on the East Side of  the City of Buffalo.  Urban Street runs from Fillmore Avenue to Moselle Street.  The second is George Urban Boulevard running from Harlem Road to Transit Road in the Town of Cheektowaga.  Both roads are named after the prominent Urban Family of Buffalo. 

geourbanblvd

George Urban Boulevard shown in orange. The form boundary of Pine Hill Farm shown in red.

George Urban Boulevard is 5 miles long and was constructed in 1924 at a cost of $125,000 a mile.  The road was designed to serve as an “Eastern Park Drive” to provide a direct highway (with Genesee St) from Buffalo to Lancaster and Alden.  The road was designed during the same time when suburban highways such as Millersport Road (now Millersport Highway) in Amherst, Sheridan Drive in Tonawanda were being constructed.  Main Street from the city line to Williamsville, Niagara Falls Boulevard and River Road highways were improved as well during this period.  Traffic planners of the era considered these streets to be extensions of the radial street grid (Broadway, Seneca, Genesee, Niagara, etc) that starts at Niagara Square.  These radials would connect to the main north-south highways such as Union Road or Transit Road to connect between radials.  Remember, there were no highways at this time, so these radial streets were the quickest way to get to outer suburbs.  

george urbanGeorge Urban, Sr was born in August 1820 in Morsbrunn, Alsatia.  This area is a mix of French and German and has passed between France and Germany five times since 1681.  When George Urban Sr was born, this region was part of France but is now part of Germany.  He came to Buffalo in 1835 at the age of 15, with his parents – Philip Jacob Urban and Katherine Gass Urban. Katherine’s parents (George’s grandparents) had come to Buffalo in 1828. They were part of the first wave of German Settlers to arrive here in Buffalo. The Urban family purchased land (shown in blue on above map) in the northeastern part of the City – from Fillmore Avenue to Moselle Street, south of Ferry Street. Woodlawn and Glenwood Streets now run through their property. They also owned extensive other properties throughout the East Side of Buffalo, including the land where Urban Street is now located and several properties along Doat Street and the land where Rustic Place and Lansdale Place are now located.

Mr. Urban first worked for a general merchandise store, Colton’s, on Main St at the corner of Genesee Street. Mr. Urban established his own business in 1846, specializing in flour wholesale. His business was located at the northeast corner of Oak and Genesee Streets.  He eventually built several buildings at that corner that were known as the Urban Block.

In 1870, Mr. Urban went into business with his son, George Urban, Jr. The firm became George Urban & Son. The business was enlarged in 1881 when they installed the first steel roller mill in Buffalo, across Oak Street from their original store.  Before this, mills used traditional grindstones. The mill had a capacity of 250 barrels a day, which was increased until they reached a maximum daily capacity of 900 barrels.

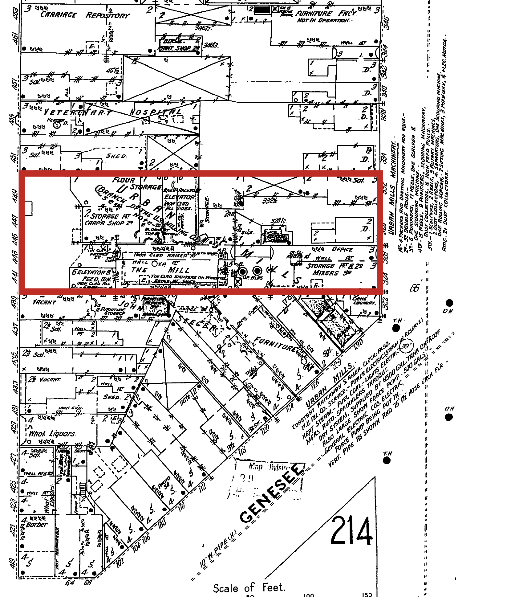
Oak and Genesee 1889

Sanborn Map, Northwest Corner of Oak and Genesee 1889. Red box shows urban mill location

20210120_091520

Modern view of building on Oak Street that was formerly part of Urban Mills (photo by author)

Mr. Urban, Sr. was in high standing among the German community in Buffalo, but also among the greater community as well. He was a member of the Board of Trade and Vice President of the Western Savings Bank. He served as a Parks Commissioner and was influential in the establishment of the East Side parkways and Humboldt Park. Sources claim that the “East Side Park System, including Humboldt Parkway and the Parade owe their existence to his energetic and persistent efforts”. The Parade is now MLK Park. Humboldt Parkway was destroyed for the construction of Kensington Highway (the 33).  Fillmore Avenue was originally the other East Side Parkway, but it was converted to commercial purposes in 1906.

georgeurbansrgraveIn 1846, Mr. Urban, Sr. married Marie Kern, also from Alsatia. They had three children: George Jr., Caroline and William C. Urban.  Mr. Urban died on Oct 13, 1887 at the age of 67.  He is buried in the Urban Family Plot in St. John Cemetery in Cheektowaga, not far from the road that would later be built and named after the family.  

urbansonsWilliam Charles Urban was born on July 28, 1861. After graduating from public schools, he became a bookkeeper of the flour business. He became a member of the firm in April 1897 when the firm incorporated as Urban Milling Company.

William married Miss Louise Burgard of Buffalo in June 1886. They had six children – Grace, William, Raymond, Ada, Edward, and Louise. He retired in 1900 to private life at his home on the Pine Hill Estate in Cheektowaga. While he was well known around town because of his family, William kept a lower profile than his brother and father. He preferred to stay at home with his family rather than being a member of social clubs. He was a member of the English Lutheran Church. William died in 1902 and is buried in the Urban Family plot in St. John’s Cemetery in Cheektowaga.

urbansonsGeorge Urban, Junior was born on July 12, 1850 in the Urban Family house at the corner of Oak and Genesee Street, across from the Urban Mill he would help his father build. He went to city public schools. At 16, he joined his father’s business. He became a partner in 1870. Mr. Urban, Sr. retired in 1885 and George, Jr. became head of the firm and the firm became Urban & Co, a partnership between George Urban Jr, Edwin G.S. Miller and brother William C. Urban. In 1897, the Urban Milling Company was incorporated.

Mr. Urban, Jr was particularly interested in electric power for lighting and equipment. He was involved in many electrical endeavors. He served as Vice President of the Buffalo General Electric Co., Vice President of the Cataract Power & Conduit Co., President of the Buffalo & Niagara Falls Electric Light & Power Co., President of the Buffalo Loan, Trust & Safe Deposit Co. He also was a director of the Buffalo German Insurance Co., the Buffalo Elevating Co., the Buffalo Commercial Insurance Co., the Ellicott Square Co., the Market Bank, the Bank of Buffalo and the German American Bank. He was also involved in politics, serving as Chairman of the Republican Committee of Erie County from 1892 -1895. His social club memberships included the Buffalo, Ellicott, Saturn, Country and Park Club. He was also a member of the New York Club and the Republican Club of New York City and the Whist Club of Rochester.

pine hillIn October 1875, George Jr married Miss Ada E. Winspear. They lived at a large estate located at 280 Pine Ridge Road. The home had large grounds and gardens with greenhouses. The home has gone by several names including Pine Hill, Hill Top and Urban Hill. The property was purchased by Ada Winspear Urban’s grandparents in 1841 from the Ebenezer Society. Ada’s father, Pennock Winspear, purchased another 60 acres of land in Cheektowaga. The house was built between the 1850s-60s. The Urban family also purchased property after George and Ada met and owned over 120 acres of the Town of Cheektowaga. In 1892, Pine Hill Road was renamed Pine Ridge Road. While most of the business interests of the Urban family were in Buffalo, the bylaws of the Board of Directors of the milling company included that they were required to meet at least once a year at Pine Hill. Residents of Cheektowaga recall a parade of carriages coming up Genesee Street whenever there would be a party at the Pine Hill. There were often beer parties and clambakes.

Beautiful Buffalo Homes

Pine Hill Estate. Source: Beautiful Homes of Buffalo.

In 1882, the Urban farm was the location where Grover Cleveland‘s presidential campaign was launched.  George Jr was a staunch Republican but a friend of Grover’s, a democrat.  They had mutual acquaintances in the flour milling business and over time became friends.  The land where Urban Street lies was purchased by the Urban Family through an auction when Grover Cleveland was sheriff.  After Grover Cleveland was elected president in 1884, George Urban, Jr. insisted that he refused to cross party lines to support his friend. They remained friends despite their political differences.

georgeurbanjrgraveMr. Urban Jr. raised poultry as a hobby, winning first prize for his poultry.  He also served on the Board of Directors for the Pan American Exposition in 1901.  The Urbans had four children – a son, George P. Urban, and 3 daughters- Emma, Ada and Clara.  The children were all born at the farm.  Mrs. Ada Urban had graduated from Central High School and was the first Jesse Ketchum Medal winner at the school.  George Urban Jr. died on February 23, 1928 and is buried in Forest Lawn Cemetery.  

george pGeorge Pennock Urban, son of George Urban Jr, was born in 1877. He went to Public School No. 9 and Central High School. He then attended Yale University to study mechanical engineering, graduating in 1901. In 1903, he became secretary and treasurer of George Urban Milling Company.

In 1913, George P. Urban married Mildred Pierce. They had one son, George P. Urban, Jr. Mildred passed away and George married Florence Zeller in 1918. They had four children – Katherine, Henry Zeller, Florence and Ada. Henry Zeller Urban would go on to be President and Publisher of the Buffalo News from 1974 to 1983.

George P.  Urban was the member of the family who began to break up the estate, as Cheektowaga was growing and there was a need for recreation, education and housing. The family home was moved to 218 Linwood Avenue but summers were still spent on Pine Hill.

In the 1920s, the Felician Order of Sisters purchased a part of the Urban estate to use as their convent and school.  the Sisters run Villa Maria College, which is located on lanes formerly part of the Urban estate.  The original Old Sisters’ Infirmary was originally William C Urban’s home.  In 1939, the Urban family home at 280 Pine Ridge was the site of the Cheektowaga Centennial Exposition. In 1946, part of the property was given to the Town and is now Cheektowaga Town Park. In 1950s, the land west of the Felician property was sold for residential development. Streets that were once part of the estate include Markus, Parkview, Parkedge, Pinewood and Pennock Streets.

George P.  Urban was also involved in the establishment of a Free Library System for the Town. In 1939, the Urban Home was offered as location for a library. Due to it’s location, it was decided the house was too far away from the rest of town to be a useful library location. At the time, Pine Hill Road was still an unlit dirt road. In 1947, the Winspear Library was opened, named after George’s maternal family. The library was only open for one year when the County took over the library system and decided another location was more suitable.

George P Urban was President of George Urban Milling Company after his father’s death. Additionally, he was President and Director of Thorton & Chester Milling Company, Mill Sterilizing Corp and the Riding Club Realty Co Inc. Like his father and grandfather, he was very involved in many organizations. He was a President of the Buffalo Corn Exchange, Director of the Automobile Club, member of the Buffalo Chamber of Commerce and the Buffalo Convention and Tourist Bureau. He was also a member of the Humane Society, the Public Library, Buffalo Country Club, Saddle and Bridle Club, Buffalo Trap and Field Clubs, Rotary Club and the Yale Alumni Association of Western New York, the New York Produce Exchange, Buffalo Orpheus, Buffalo Canoe Club, University Club, Saturn Club, Buffalo Club, Buffalo and Erie County Historical Society and Bowmansville Grange.

George P. Urban died in August 1966 at the age of 89. By the time of his death, the Pine Hill Estate had transformed from a sprawling farm to a residential home in a large suburban town. The house was sold in 1954 to furrier Pauline Fracasso who held elaborate parties in the home. It was sold again in 1971, 1983. 1996 and 2004.

urban mill

Mill on Urban Street, circa 1911. Source: Buffalo and Its German Community.

In 1903, when George P Urban became Secretary of Urban Milling Company, the company closed the Oak Street plant.  They built a large flour mill on Urban and Kehr Streets. The mill was built along the New York Central Belt Line tracks.  The location on the Belt Line helped to increased the ease of both bringing wheat to the factory and shipping off the finished product via rail. They manufactured several different flour brands that were distributed to all parts of the country. The mills were the first in Buffalo to be powered exclusively by electricity, powered by the mighty Niagara Falls. The daily capacity was 1,000 barrels a day when it opened, but this was increased to 1500 barrels a day. The mill was considered a model mill for cleanliness and for rapid and economic handling of products. This was in part because it was built away from the “dirty and dusty part of the city”. At the time, Buffalo was the second largest milling center in the world, second to Minneapolis.  Urban Flour continued to use office space at their old property on Oak Street.  

george urban ad 1903

Ad announcing George Urban’s new mill in The Weekly Northeastern Miller, October 1903.

Urban flour was considered to be especially good quality. They used a process that was first developed in Buffalo for milling that used a purifier to separate the whiter part of the flour from the lower grades. This process used electricity and was used for many years until the development of chemical processes to purify flour.  The flour was sales were limited to just the Northeast  – but Urban Flour had a stronghold across New York, New Jersey, New England and Pennsylvania.  They were most well known for Urban’s Liberty Flour and Up-an-Up Self Rising Cake Flour.

s-l1600 (1)

Example of an Up and Up muffin tin from Urban Flour

In the 1920s, Buffalo had 7 flour mills. By 1930, Buffalo was the flour milling capital of the US, surpassing Minneapolis, Minnesota which had held the title since 1880.  This was in part because after WWI, the market had shifted to places where it was easier to obtain and process Canadian wheat, which placed Buffalo in a strategic location.  In 1930, Buffalo’s milling capacity was 40,000 barrels a day and the industry surpassed 11 million barrels that year, conquering Minneapolis’s 10.8 barrels and becoming the grain capitol.  In 1936, the George Urban Milling Company, at 90 years old, was the oldest flour mill in the Eastern United States. They held a 90th Anniversary celebration at the Pine Ridge Farm, a luncheon at Hotel Lafayette and a banquet at Hotel Statler. In attendance at the banquet was Donald Sands of the Sands, Taylor & Wood Company in Boston. The company had been a customer of Urban Mill since it began milling flour.

Milling in Buffalo started to decline around the middle of the 20th Century. In 1957, George Urban Milling Company merged with Maritime Milling (formerly located at Hopkins and Lockwood in South Buffalo). When the two companies combined, the company employed nearly 700 employees and had annual sales of more than $30 Million. Maritime Mill was heavily in debt and Marine Trust Company stopped financing the Maritime Mill and Maritime was forced to declare bankruptcy, owing the bank more than $2.8 Million. The Maritime Mill closed, the mill property was sold. The building was in South Buffalo was vacant and abandoned for many years until it was eventually torn down.

download (4)

Urban Mill in the 1990s when owned by Cargill. Source: Library of Congress

By 1965, the Urban family interest in the company had lessened. The George Urban Milling Company was purchased by Seaboard Allied Milling Corporation, a large grain company from the Midwest. In 1982, Seaboard sold all of their domestic flour mills including the Urban Mill to Cargill, Inc. In March of 1994, Cargill closed the plant, stating that the location was no longer profitable because much of the plant was obsolete and more expensive than other sites which were accessible by water. There were 45 employees remaining at the plant when it closed. The mill was demolished shortly after it closed.  In 1994, Buffalo had four remaining mills, but was still the largest flour milling site in the world.  By 2001, just General Mills and Archer Daniels Midland (ADM…formerly Pilbury) remained, the industry no longer what it used to be.  

So, the next time you buy some flour to do some pandemic baking, think of when Buffalo was flour capital of the world and three generations of George Urbans made flour that made countless loaves of bread.  

Want to learn about other streets?  Check out the Street Index.  Don’t forget to subscribe to the page to be notified when new posts are made.  You can do so by entering your email address in the box on the upper right hand side of the home page.  You can also follow the blog on facebook.  If you enjoy the blog, please be sure to share it with your friends.

Sources:

  1. Buffalo and Its German Community. German-American Historical and Biographical Society. Jacob E. Mueller: 1911-12. Translated by Susan Kriegbaum-Hanks, July 2005.
  2. History of the Germans in Buffalo and Erie County, New York. Reinecke & Zesch. Buffalo, NY : 1898.
  3. Historic Background: The H. Seeberg Building: 113-125 Genesee Steet, Buffalo NY. Clinton Brown Company: Jan 11, 2011.
  4. “George Urban Milling: A History” Buffalo Express. January 16, 1916.
  5. Baldwin, Richard. “Old Hulk of Maritime Plant Still Remains Menace Despite Numerous Demands That It Be Torn Down”. Courier Express. April 30, 1967, p C10.
  6. “Urban Milling Firm Observes 90th Milestone”. Buffalo Courier-Express. August 23, 1936, p L3.
  7. Seaboard Corporation Timeline. Company Website: https://www.seaboardcorp.com/about-seaboard/seaboard-timeline/
  8. Memorial and Family History of Erie County, New York. Volume 1: Biographical and Genealogical. The Genealogical Publishing Company, Buffalo, NY: 1906-8
  9. “Cheektowaga’s Historical Site – The Urban – Winspear Estate – Pine Ridge Road” https://tocny.org/cheektowagas-historical-site-the-urban-winspear-estate-pine-ridge-road/
  10. “Urban Boulevard Plans Prepared”  Buffalo Enquirer.  Sept 2, 1924, p2. 
  11. Schroeder, Rick and Rick Stouffer.  “Cargill Shutting Down Flour Mill”  Buffalo News.   January 21, 1994.  
  12. Thomas E. Leary, John R. Healey, Elizabeth C. Sholes.  Urban Mill & Elevator, 200 Urban Street, Buffalo, Erie County, NY.    Historic American Engineering Record.  Retrieved from Library of Congress, https://www.loc.gov/item/ny1684/ .  
  13. “Minneapolis Flour Milling Boom”.  Minnesota Historical Society.  https://www.mnhs.org/millcity/learn/history/flour-milling

Read Full Post »

Field Notes

Live from Buffalo, NY

Grants.gov Community Blog

Connecting the grant community to #LearnGrants

Dienna Howard

I create, therefore I am.

Hidden Waters blog

Companion blog for the book "Hidden Waters of NYC"

Hoping for a Tail Wind

Because I definitely brought way too much gear.

priorhouse blog

Photos, art, and a little bit of LIT.

Sheepie Niagara

Bleating the Beat Since 2015